Skip to main content
ΔΙΕΘΝΗ
Ιαπωνία: Ο τυφώνας Νεογκούρι προσεγγίζει το νησί Οκινάουα
Ιαπωνία: Ο τυφώνας Νεογκούρι προσεγγίζει το νησί Οκινάουα
 clock 07:28 | 07/07/2014
writer icon newsroom ekriti.gr

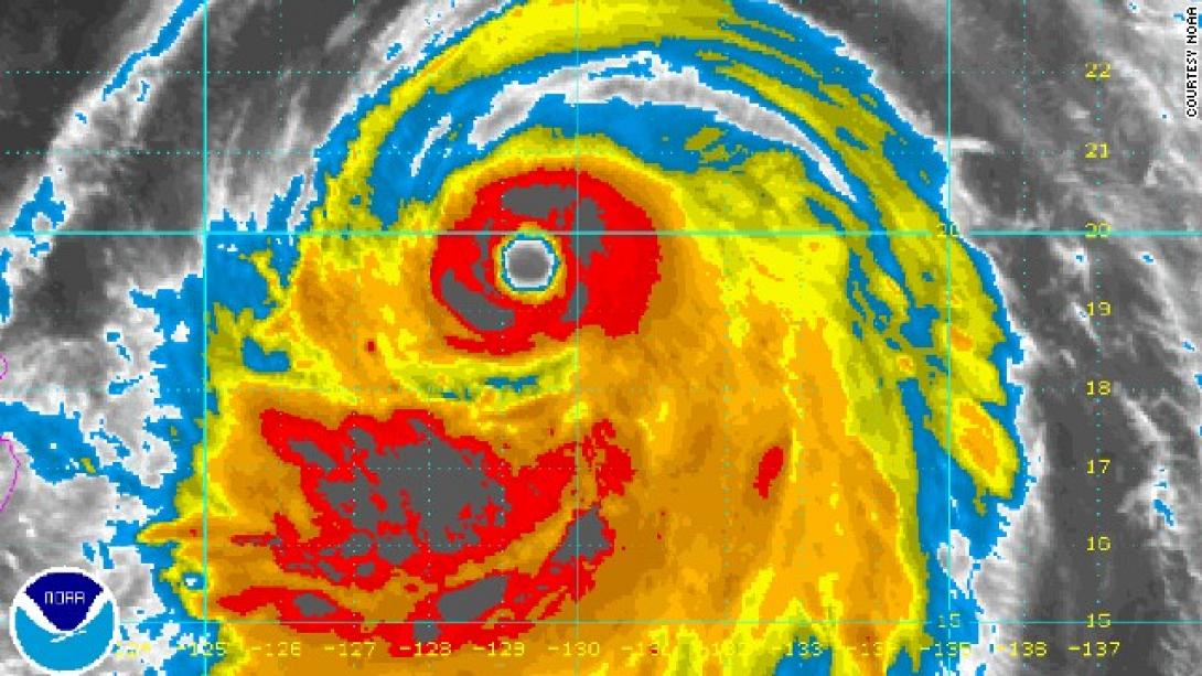
Ένας ισχυρότατος τυφώνας ο Νεογκούρι αναμένεται να προσεγγίσει τις επόμενες ώρες το νησί της Οκινάουα, που είναι το νοτιότερο τμήμα της Ιαπωνίας, με μέγιστους ανέμους που πνέουν με ταχύτητα 270 χιλιομέτρων ανά ώρα, όπως ανακοίνωσε η Μετεωρολογική Υπηρεσία της χώρας.

Ο Νεογκούρι που έχει χαρακτηριστικά σούπερ τυφώνα ήταν νωρίς το πρωί της Δευτέρας σε απόσταση 300 χιλιομέτρων νότια του νησιού στον Ειρηνικό Ωκεανό και αναμένεται να προσεγγίσει τις ακτές της Οκινάουα το πρωί της Τρίτης, σύμφωνα με την τελευταία ενημέρωση που εξέδωσε η Μετεωρολογική Υπηρεσία της Ιαπωνίας.

Εν αναμονή του Νεογκούρι, ο οποίος συνοδεύεται από πολύ ισχυρούς ανέμους και καταρρακτώδεις βροχές, οι αρχές της Ιαπωνίας κάλεσαν του πολίτες της Οκινάουα να παραμείνουν στα σπίτια και να αποφεύγουν οποιαδήποτε περιττή μετακίνηση.

Ο τυφώνας αναμένεται να πλήξει αργότερα εξασθενημένος το ιαπωνικό αρχιπέλαγος.

Πηγή: ΑΜΠΕ

google news icon

Ακολουθήστε το ekriti.gr στο Google News και μάθετε πρώτοι όλες τις ειδήσεις για την Κρήτη και όχι μόνο.

ΡΟΗ ΕΙΔΗΣΕΩΝ
Ράδιο Κρήτη © | 2013 -2026 ekriti.gr Όροι Χρήσης | Ταυτότητα Designed by Cloudevo, developed by Pixelthis