Τα μέτρα κοινωνικής αποστασιοποίησης εκτός από την μείωση του κινδύνου διασποράς του νέου κορωνοϊού, μπορούν να...
Συγκεκριμένα ως και κατά 77% από την τελευταία φορά που έγινε σχετική έρευνα την περίοδο του 1970
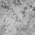
Έναν νέο μυστηριώδη ιό, με άγνωστα γονίδια, ανακάλυψαν επιστήμονες βιολόγοι σε τεχνητή λίμνη της Βραζιλίας. Οι ιοί...
Περισσότεροι από 1.000 επιστήμονες από 37 χώρες, οι οποίοι συνεργάστηκαν για πάνω από δέκα χρόνια, έδωσαν στη...
Επιστήμονες στις ΗΠΑ αποκωδικοποίησαν για πρώτη φορά το πλήρες γονιδίωμα της δημοφιλούς ποικιλίας ρυζιού μπασμάτι....
Ο νέος κορωνοϊός που ξεκίνησε από την Κίνα και συνεχώς εξαπλώνεται σε άλλες χώρες, σύντομα θα αποκτήσει ένα νέο...
Ο νέος κορωνοϊός που, με επίκεντρο το Ουχάν της Κίνας, έχει αρχίσει να εξαπλώνεται σε ολοένα περισσότερες χώρες,...
Επιστήμονες στις ΗΠΑ κατάφεραν να αναγεννήσουν μεγάλα τμήματα κατεστραμμένων νεύρων χάρη σε μια νέα τεχνική, που...
Αμερικανοί επιστήμονες μελέτησαν προ καιρού το φαινόμενο και τα αποτελέσματα είναι εντυπωσιακά. Πρόκειται για δείγμα...
Το Μουσείο Φυσικής Ιστορίας Γέργερης, προκειμένου να πραγματοποιήσουν αυτοψία στον χώρο, να καταγράψουν τα εκθέματα...
Η κυβέρνηση δεν ανανεώνει τις συμβάσεις 4.000 επιστημόνων, την ώρα που ανακοινώνει κίνητρα για επιστροφή 500 επιστημόνων...